
Produced by: Tarun Mishra Designed by: Mohsin Shaikh Images: CSIRO


An international research team aboard the CSIRO research vessel Investigator has revealed the presence of an ancient underwater mountain range concealed within the formidable Antarctic Circumpolar Current. CSIRO stands for the Commonwealth Scientific and Industrial Research Organisation. It is an Australian government agency responsible for carrying out scientific research.

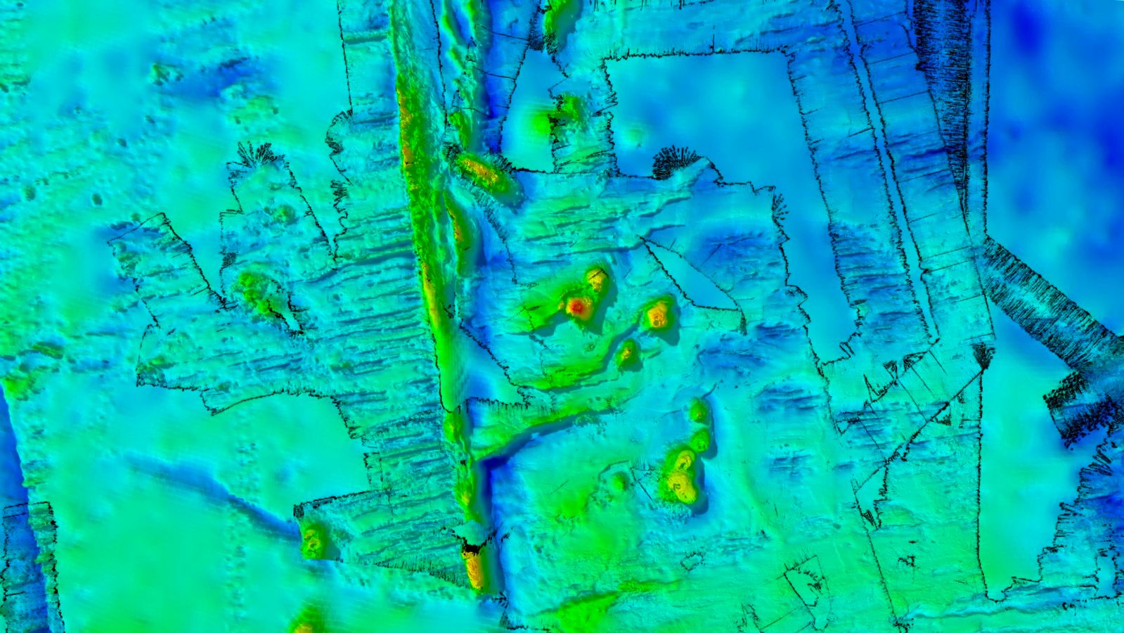
Covering 20,000 square kilometers between Tasmania and Antarctica, the research voyage utilized high-resolution mapping techniques to explore the depths of the Southern Ocean, uncovering a previously unknown underwater mountain chain.

According to a report by India Today, the seafloor, reaching depths of 4,000 meters, exposed a chain of eight long-dormant volcanoes, some soaring up to 1,500 meters high. Four of these volcanoes are newly discovered, shedding light on the geological history of the region.

Dr. Chris Yule, a geophysicist with CSIRO, expressed enthusiasm over the findings, emphasizing the significance of the four newly discovered volcanoes and the detailed information on previously partially mapped seamounts and a fault line ridge.

Located 200 nautical miles west of Macquarie Island, the survey area sits atop the tectonically active Macquarie Ridge, where hotspot magmatism within the last 20 million years led to the formation of these seamounts.
The FOCUS voyage was designed to complement the Surface Water and Ocean Topography (SWOT) satellite, offering a comprehensive view of the ocean's fine-scale features by simultaneously mapping from both space and sea.

Dr. Benoit Legresy, the chief scientist of the voyage, underscored the urgency of understanding the ocean's role as a 'climate shock absorber,' absorbing heat from global warming and mitigating the impact of human CO2 emissions.

The research team focused on how the ocean channels heat towards Antarctica, influencing ice melt and contributing to sea-level rise — a critical aspect in addressing climate change and its repercussions.

Co-chief scientist Dr. Helen Phillips from the University of Tasmania highlighted the seafloor's importance in influencing ocean dynamics. The interaction between the Antarctic Circumpolar Current and the seafloor creates eddies that play a crucial role in transporting heat and carbon deeper into the ocean.

Beyond its geological significance, the discovery of the underwater mountain range provides essential insights into the behaviour of ocean currents and their impact on climate, emphasizing the intricate relationship between the seafloor's topography and the Earth's climate system.